
30 Acres CR 3615 Murchison, TX 75778
30 Acres Lot
UPDATED:
Key Details
Property Type Vacant Land
Sub Type Ranch
Listing Status Active
Purchase Type For Sale
Subdivision B Mitchell Surv Abs #860
MLS Listing ID 20437851
HOA Y/N None
Lot Size 30.000 Acres
Acres 30.0
Lot Dimensions 567x1711
Property Sub-Type Ranch
Property Description
With utilities including fiber optic cable, septic, and electric already in place, the property is ready for you to settle in or start your next project. ATV trails wind through the landscape, making it easy to explore the diverse terrain, from open fields to dense woodlands.
Hunters will be in paradise with an abundance of whitetail deer and wild hogs calling this land home. The property's natural beauty and privacy provide the perfect backdrop for outdoor enthusiasts, while its peaceful atmosphere offers unmatched relaxation. Multiple potential building sites are scattered across the land, providing plenty of options for creating your ideal retreat.
Located just a short drive from Dallas, near Cedar Creek Lake, Lake Palestine, and Tyler, this gem seamlessly combines the serenity of rural living with convenient access to nearby amenities. Don't miss the chance to own this incredible piece of land—whether for hunting, recreation, or as a place to build your private haven, this property has it all.
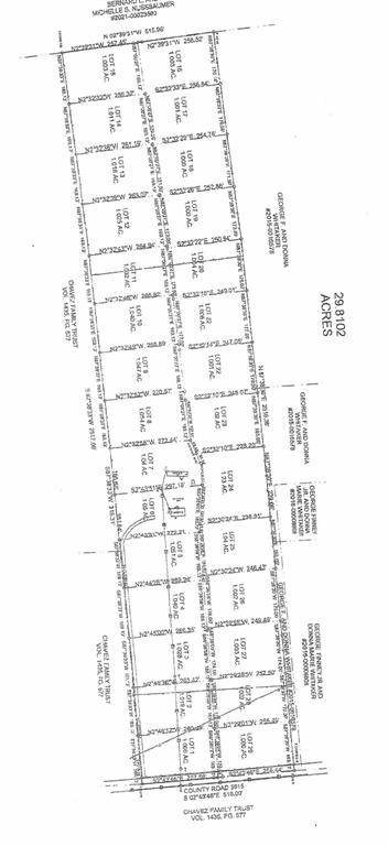
You can also buy as an investor and yield 28 1 acres lots - See Survey.
Location
State TX
County Henderson
Zoning Agricultural,Residential,Resort,Rural Residential
Direction Address: 8356 CR 3615, Murchinson, TX 75778 Search Google Map Coordinates: 32.25442893 -95.66271612 Take Highway 31 from Athens, TX to Country Road (CR) 3613, head south, left turn on CR 3612, right on CR 3615 to the street ends. Property on the right.
Exterior
Exterior Feature Dog Run
Fence Barbed Wire, Cross Fenced
Utilities Available Asphalt, Co-op Electric, Co-op Water, Electricity Connected, Private Road, Septic
Street Surface Asphalt,Gravel
Garage No
Building
Lot Description Acreage, Cleared, Few Trees, Oak
Schools
Elementary Schools Brownsboro
High Schools Brownsboro
School District Brownsboro Isd
Others
Restrictions None
Acceptable Financing Cash, Lease Purchase, Owner Will Carry, USDA Loan, VA Loan
Listing Terms Cash, Lease Purchase, Owner Will Carry, USDA Loan, VA Loan
Virtual Tour https://www.propertypanorama.com/instaview/ntreis/20437851







